扫一扫关注官方微信

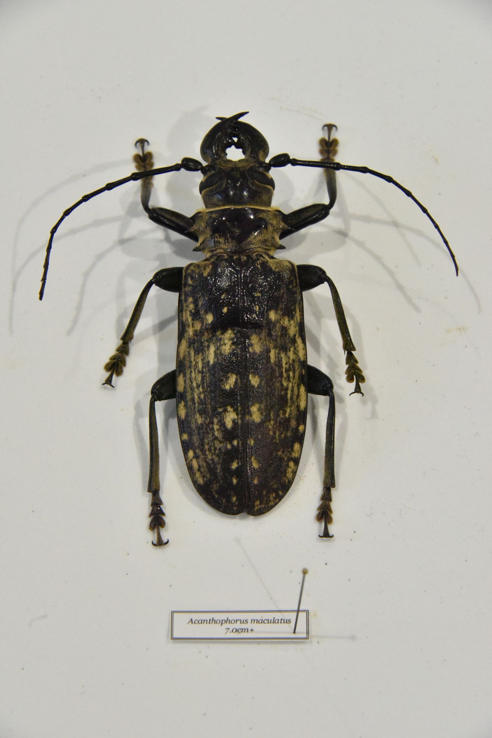
Acanthophorus maculatus

分享到:
下载图片

分类:节肢动物门昆虫纲鞘翅目天牛科Acanthophorus属

拉丁名:Acanthophorus maculatus